El nivel de ozono mejora por segundo año pero el 73% de los españoles respira aire contaminado
Como en 2020, la reducción de la movilidad por la crisis de la COVID–19 ha provocado una mejora sin precedentes de la calidad del aire, en relación al ozono troposférico. No obstante, casi 35 millones de personas han seguido respirando aire contaminado por ozono durante el verano de 2021, en el Estado español.
Algunos pájaros del Amazonas han reducido su tamaño debido al cambio climático
Un equipo de científicos ha demostrado que las aves del sotobosque amazónico, protagonistas del #Cienciaalobestia, se están adaptando tanto en tamaño como en forma al aumento de las temperaturas. Según los autores, los resultados suponen una evidencia más de que el calentamiento del planeta tiene un impacto en la fauna
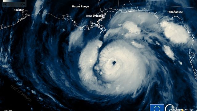
COPERNICUS pondrá fin a las mentiras en la contabilidad de las emisiones de CO₂
Este sistema, que se espera que esté completamente operativo en 2026, le pondrá nombre y apellidos a cada emisión de gases de efecto invernadero que tengan lugar en nuestra atmósfera, y nos permitirá reducirlas o eliminarlas.
Europa toma medidas contra cinco Estados miembros por incumplir la legislación sobre residuos
La Comisión Europea ha enviado cartas de emplazamiento a Bulgaria, Croacia, Grecia, Rumanía y Eslovaquia y les insta a que apliquen correctamente la Directiva sobre vertederos y la Directiva marco sobre residuos.
COP26: Los países acuerdan abandonar el carbón y mantener vivo el límite de calentamiento en 1,5ºC
La Conferencia de Cambio Climático de la ONU (COP26) termina en Glasgow (Reino Unido) con un acuerdo para llamar a los países de todo el mundo a iniciar el abandono del carbón, en lo que supone el primer llamamiento mundial a dejar atrás este combustible y logra mantener vivo el objetivo de limitar el calentamiento global a final de siglo en 1,5 grados centígrados (ºC).
Agenda de Ocio Ambiental del 12 al 14 de noviembre
Este fin de semana, en la Agenda de Ocio Ambiental, se dan cita grandes eventos como Biocultura Madrid, la Fiesta de la Trashumancia de Valladolid, eventos por la Semana de la Ciencia o la primera edición de Literatierra.
Nueva etiqueta energética para fuentes de iluminación que mejora la información al consumidor y fomenta un consumo más eficiente
Desde el 1 de septiembre, empiezan a utilizarse las nuevas etiquetas energéticas de lámparas y bombillas con las que se simplifican las categorías de eficiencia energética, mejorando así la información al consumidor, ayudándoles a elegir productos más eficientes.
China y EEUU acuerdan reforzar sus acciones climáticas en esta década
Estados Unidos y China anunciaron este miércoles en la COP26 en una declaración conjunta su compromiso para “reforzar las acciones climáticas” en la presente década, a fin de alcanzar los objetivos del Acuerdo de París.
Las divergencias en la forma de contabilizar las reducciones de emisiones ponen en peligro la lucha climática
Dos informes muestran que los gases de efecto invernadero doblarán en 2030 el límite establecido para que no aumente la temperatura global 1,5 grados y una investigación de ‘The Washington Post’ pone en duda la metodología de cálculo de muchos gobiernos.
Decenas de miles de personas exigen en Glasgow «justicia climática»
Unos 100.000 manifestantes, según la organización, recorren la ciudad escocesa, sede de la Cumbre del Clima.
Agenda del 5 al 7 de noviembre
Esta semana, el otoño es protagonista en la Agenda de Ocio Ambiental. Disfruta de esta explosión de colores con una gran variedad de rutas interpretadas, baños del bosque, talleres en familia y gymkhanas, entre otros muchos planes.
300.000 millones de dolares/año costará no adaptar las ciudades al cambio climático
Si no logramos fortalecer la resiliencia urbana ante los impactos del cambio climático, “a las ciudades les costará más de 300 mil millones de dólares cada año” asegura la jefa de la oficina de ONU-Habitat en España, Carmen Sánchez Miranda.






